Ref: SMM00974
Parcelas urbanas en Sanchidrián: Ubicación estratégica y máxima conectividad
Precio: 12.000 € / unidad (Sujeto a IVA + AJD)
Oportunidad de inversión en el Paseo de San Roque, Sanchidrián. Ponemos a la venta dos parcelas excepcionales en la comarca de La Moraña, ideales para quienes buscan construir una vivienda unifamiliar en un entorno natural sin perder la conexión con los grandes núcleos urbanos.
Ubicación y Entorno:
Sanchidrián destaca por su situación geográfica privilegiada junto a la Autopista del Noroeste (A-6), rodeado de enclaves naturales inmejorables.
• A 24 km de Arévalo y 35 km de Ávila Capital.
• A solo 1 km del núcleo urbano, garantizando tranquilidad y servicios a partes iguales.
Características de las Parcelas:
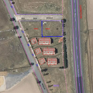
Se venden de forma conjunta o por separado. Están definidas como parcelas para vivienda unifamiliar aislada (chalets):
• Superficie: Entre 601 m²
• Edificabilidad: 240 m² sobre rasante.
• Altura permitida: 2 plantas edificables.
• Equipamiento completo: Acceso por vía urbana, aceras, alumbrado público, alcantarillado, agua y electricidad.
Información Legal y Técnica:
• Referencias Catastrales: 7077201UL6277N0001ZJ / 7077206UL6277N0001BJ.
• Condiciones de venta: Venta como «cuerpo cierto» en su estado físico y jurídico actual. Serán por cuenta de la parte compradora todos los gastos, cuotas, derramas y costes administrativos o urbanísticos pendientes.
• Recomendación: Se aconseja consulta previa con el Ayuntamiento para confirmar detalles urbanísticos específicos.
Una inversión inteligente en un nudo de comunicaciones estratégico de Castilla y León.
Llámanos y reserva tu cita cuando tú quieras ya que realizamos visitas los siete días de la semana. Domingos y festivos bajo cita previa.
Además si lo necesitas te ayudamos con los trámites de tu hipoteca para conseguirla con las mejores condiciones y en un tiempo récord, no dudes en llamar.
Los datos del anuncio pueden contener errores. No son de carácter contractual.

Urbanización Almarza, Sanchidrian, ávila
Carretera del Barco de Ávila 10, Ávila